Impresionantes imágenes desde el espacio del huracán Melissa; se dirige a Cuba

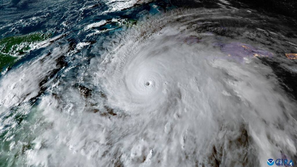
El huracán Melissa se ha degradado a categoría 3, pero sigue su camino al este de Cuba, de acuerdo con el Centro Nacional de Huracanes (NHC, por sus siglas en inglés), la fuerza del fenómeno podría subir nuevamente. Se han compartido las imágenes más recientes de Melissa desde el espacio dónde se alcanza a divisar el ojo del fenómeno climático.
A través de los videos se muestran el desplazamiento de Melissa desde el espacio, con dirección a las costas de Cuba.
Así se ve Melissa desde el espacio
El sitio web “See Earth Live”, de Sen Corporation Ltd, muestra videos recientes desde el espacio del huracán Melissa, donde se puede ver la curvatura del planeta y el fenómeno climático en alta resolución.
La filmación proviene de las cámaras de la Estación Espacial Internacional (EEI), donde incluso se puede ver el desplazamiento del vórtice en un amplio territorio de la Tierra.
El ojo del huracán Melissa azotó Jamaica y sale al norte
El peligroso huracán Melissa, que fue catalogado como categoría 5, tocó tierra en la costa suroeste de Jamaica a tempranas horas de la tarde. Tras cruzar la isla, el ojo del huracán sale por la costa norte, a unos 24 kilómetros al este de Montego Bay, moviéndose hacia el nornoreste a 13 km/h.
Michael Brennan, director del NHC, informó advirtió que el huracán se mantiene vigente en toda Jamaica, donde las condiciones siguen siendo extremadamente peligrosas.
Se esperan vientos destructivos que continuarán durante la noche, especialmente en zonas montañosas y la costa norte. Además, se pronostican entre 15 y 30 centímetros de lluvia adicional, con acumulaciones aisladas que podrían alcanzar hasta 76 centímetros. Se insta a la población a permanecer en resguardo total hasta el miércoles.
Cuba se prepara para el Impacto de Melissa
Tras su paso por Jamaica, el centro del huracán Melissa se acerca a la costa sureste de Cuba. Se prevé que el sistema toque tierra durante la madrugada del miércoles como un huracán categoría 4, lo que implica vientos destructivos generalizados. Las condiciones de tormenta tropical ya se registran en el sureste cubano, y se espera un rápido deterioro durante la noche.
¿Tienes una denuncia o información que quieras compartir? Escríbenos al WhatsApp de Uno TV: +52 55 8056 9131. Tu mensaje puede hacer la diferencia.
Los riesgos más graves incluyen:
- Marejada Ciclónica: pronosticada de 2.4 a 3.6 metros por encima del nivel normal de la marea, cerca y al este del punto de impacto
- Lluvias Catastróficas: se esperan de 25 a 50 centímetros, con acumulaciones aisladas de hasta 63 centímetros en las provincias de Manzanillo, Santiago de Cuba y Guantánamo, lo que podría generar inundaciones repentinas y numerosos deslizamientos de tierra
Trayectoria hacia el atlántico: Cuba, Bahamas y Bermudas en Riesgo
La velocidad de traslación de Melissa aumentará a medida que salga por la costa noreste de Cuba durante el día de este miércoles 29 de octubre de 2025. Su trayectoria se dirige hacia las Bahamas del sureste, donde se prevén impactos entre la tarde del miércoles y el jueves. Las Bahamas están bajo advertencia de huracán, con expectativas de marejada ciclónica de 1.5 a 2.4 metros y lluvias de 12 a 25 centímetros.
Sigue a Uno TV en Google Discover y consulta las noticias al momento.
Las Bermudas también están en vigilancia por el paso del huracán Melissa, ante la posible llegada de lluvias intensas y vientos con fuerza entre la noche del jueves y la mañana del viernes.
Te recomendamos:

Espacio
Cometa Lemmon 2025 se verá hasta dentro de mil años: fechas clave para ver este espectáculo astronómico

Espacio
Campo magnético de la Tierra se debilita en zona del Atlántico Sur: ¿cuáles son los riesgos?

Espacio
Video revela que basura de Playa Bagdad en Tamaulipas pertenecería a SpaceX

