Imágenes: Melissa arrasa con Jamaica y pone en alerta a Cuba y República Dominicana
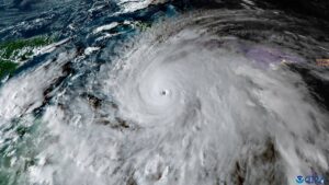
El huracán Melissa tocó tierra este martes en Jamaica, convirtiéndose en una de las tormentas más fuertes registradas en la isla caribeña. Con vientos de hasta 295 km/h al llegar, se degradó a categoría 3 mientras avanzaba, pero sigue siendo una amenaza devastadora para la región.
“No creo que haya infraestructura en esta región que pueda resistir un huracán de categoría 5”, advirtió el primer ministro jamaicano, Andrew Holness, antes del impacto.
Devastación en Jamaica
Durante horas, la isla sufrió vientos extremos, lluvias torrenciales e inundaciones, mientras Melissa avanzaba lentamente. La lentitud de la tormenta ha exacerbado la destrucción y la ansiedad entre la población.
- 7 muertos ya han sido confirmados: tres en Jamaica, tres en Haití y uno en República Dominicana.
- Calles inundadas, techos arrancados, árboles caídos y cortes de energía masivos afectan a múltiples regiones.
- Según un senador jamaicano, instalaciones médicas en Black River fueron destruidas, dejando a pacientes y personal médico en situación crítica.
La Cruz Roja ha distribuido agua potable y kits de higiene, pero la lentitud del huracán ha complicado la asistencia.
“Uno esperaría que tal vez pase en cuatro horas, pero Melissa no parece ser así”, dijo Esther Pinnock, portavoz de la Cruz Roja en Jamaica.
Avance hacia Cuba
El Centro Nacional de Huracanes (NHC) de Estados Unidos informó que el ojo del huracán abandonó la isla por la costa norte y se dirige ahora hacia las provincias orientales de Cuba: Granma, Santiago de Cuba y Guantánamo.

Las autoridades cubanas declararon fase de alarma en seis provincias y evacuaron aproximadamente 650 mil personas. Se suspendieron clases y actividades laborales no esenciales, mientras la población asegura techos y almacena víveres.

Se esperan hasta un metro de lluvia, con riesgos de inundaciones repentinas y deslizamientos de tierra también en Haití y República Dominicana.

Impacto y contexto climático
Melissa supera en potencia a huracanes históricos como Katrina (2005) y se considera uno de los ciclones más destructivos del Atlántico oriental. Científicos señalan que el cambio climático antropogénico ha incrementado la intensidad y frecuencia de fenómenos extremos como este.

“Las grandes tormentas se vuelven más intensas por la combinación de aguas cálidas y patrones climáticos alterados”, explican especialistas en meteorología tropical.

Recomendaciones y alerta regional
- Mantenerse en refugios seguros y evitar salir durante el paso del huracán.
- Preparar alimentos, agua y medicinas para varios días.
- Seguir las indicaciones de autoridades locales y Protección Civil.
- Estar atento a alertas meteorológicas oficiales vía medios de comunicación y redes sociales de gobierno.
Jamaica está bajo el agua









