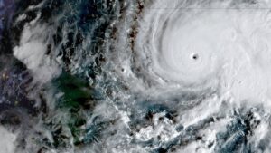
DEMUESTRA TODO TU JUEGO ¡REGISTRATE YA!Permiso no. DGG/SP/442/97, DGJS/234/2019. JUEGO RESPONSABLE. +18 https://codere.mx NOTICIAS DE ÚLTIMA HORA 2025/11/03 Juega Ahora¡A rockear! AC/DC vuelve a MéxicoMéxico vs Países Bajos en el Mundial Femenil Sub-17Un mexicano es el Premio Cervantes 2025 Hidalgo – Octubre 28, 2025 Hidalgo¿Qué autos deben verificar en Hidalgo durante noviembre 2025? Ciencia y TecnologíaHuracán Melissa se dirige a Cuba: sigue la trayectoria del “potente” fenómeno con el celular BecasEsta beca llegará a primaria: anota qué piden InternacionalPega huracán Melissa: peor tormenta del siglo causa caos Video“Será Viral”: Productores de limón y naranja, bajo presión del crimen organizado PensionesFallo de la SCJN respalda ajuste de pensión a miles de jubilados Ciudad de México¿Tocaron tu timbre? Cuidado, así entran a robar casas DeportesConoce al mexicano que hace historia en Serie Mundial Nacional¿Quién fue San Judas Tadeo, el santo que se festeja el 28 de octubre? Historias Opinión Luis RubioMéxico y su dilema: ¿más libertad o más democracia? Pamela Cerdeira¿Realmente las comunidades indígenas piden disculpas de España? Alicia SalgadoFraudes con IA: lo que debes evitar ya Carlos Elizondo Mayer-SerraLa estructura centralizada de Morena limita los canales de diálogo Más noticias Todo en Uno TVNoticias de hoy 3 de octubre de 2025, en un minuto, hasta las 14:00 horas NacionalLa mañanera de Claudia Sheinbaum, 30 de octubre de 2025 Dólar hoyTipo de cambio hoy 3 de noviembre: dólar cotiza en 18.57 pesos Ciudad de MéxicoNo circulan este lunes vehículos con placas terminación 5 y 6 Estados UnidosTrump rompe 30 años de pausa y ordena pruebas nucleares en EE.UU.: ¿riesgo de una nueva carrera armamentista?