Noticias de Huracán.

AFP / RAMMB/NOAA
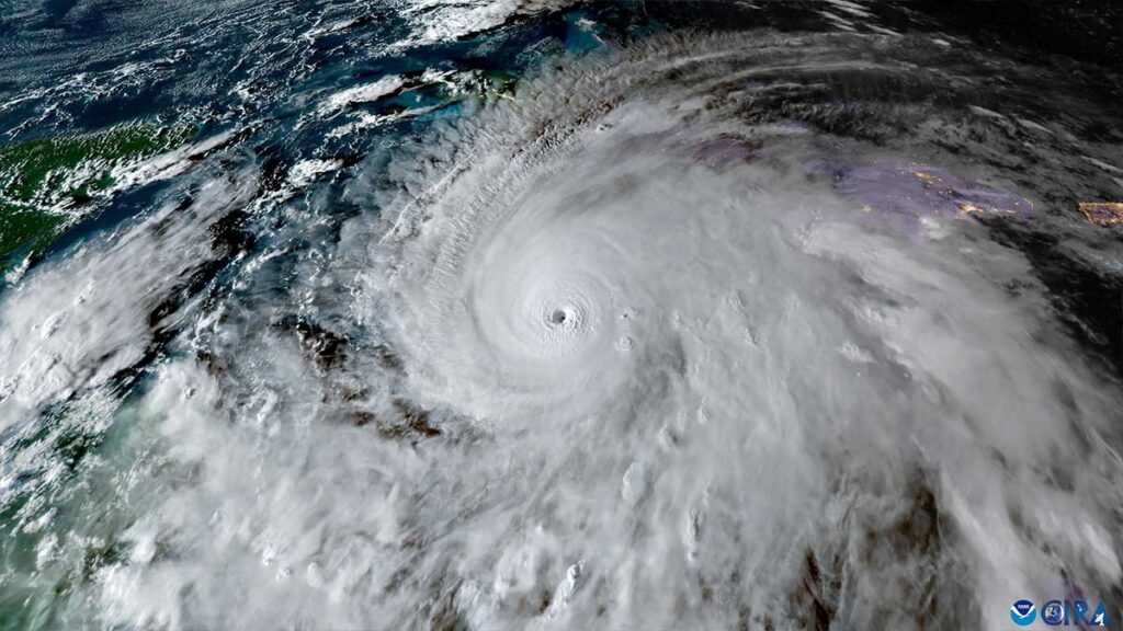
Se le llama huracán un sistema de tormentas tropicales que se forma en el Océano Atlántico o el Océano Pacífico oriental. Se caracteriza por vientos sostenidos de al menos 119 kilómetros por hora y un centro de baja presión con fuertes corrientes ascendentes. Los huracanes son los sistemas meteorológicos más poderosos de la Tierra y pueden causar daños catastróficos a las zonas costeras.
Se forman cuando la humedad y el calor del océano se combinan con vientos fuertes. El aire caliente y húmedo se eleva, creando una depresión en la superficie del océano. A medida que el aire sube, se enfría y se condensa en nubes. Las nubes liberan grandes cantidades de energía en forma de lluvia y viento.
La fuerza de un huracán se mide en la escala Saffir-Simpson, que tiene cinco categorías. Los huracanes de categoría 1 son los más débiles, con vientos sostenidos de 119 a 153 kilómetros por hora. Por el contrario, los de categoría 5 son los más fuertes con vientos sostenidos de 252 kilómetros por hora o más.
También pueden causar una variedad de daños, incluyendo inundaciones, tornados, deslizamientos de tierra y marejadas ciclónicas. A menudo estos fenómenos naturales vienen acompañados de marejadas ciclónicas, que son olas gigantes causantes de devastadoras inundaciones.
Si se vive en una zona costera, es importante estar preparado. Una opción es tener un plan de evacuación, así como un kit de emergencia con suministros para varios días, como alimentos, agua, baterías y un radio. Finalmente, se recomienda tener una maleta a la mano con documentos importantes en caso de una evacuación de la vivienda de emergencia.

















































