Noticias de Ciencia.
Sigue las últimas noticias de Ciencia: información, fotos, imágenes y videos en Unotv.
Las cinco edades del cerebro humano: científicos revelan cómo cambia a lo largo de la vida
| 17:28 | Marco Antonio Jiménez Arreola | Universidad de Cambridge | Nature Communications | UnoTV
Natural o artificial: experto responde qué árbol de navidad es más sustentable
| 20:44 | José Antonio Romero Santiago | Science Alert
Orbitador chino observa un visitante interestelar más antiguo que el Sol
| 11:21 | Xinhua | Agencia Xinhua | Beijing
Esta ciudad de Alaska ya no verá el sol hasta enero de 2026
| 18:29 | Aldo Flores | Uno TV
China domina la ciencia mundial: 6 ciudades en el top global, según Nature
| 12:03 | Xinhua | Agencia Xinhua | Londres
Vórtice polar: qué es y por qué podría provocar fríos extremos en México este diciembre
| 11:11 | Jennifer Turrubiartes | UnoTV | Meteored
Ciencia al rescate: Abren fábrica de mosquitos modificados que podría frenar el dengue
| 10:03 | Xinhua | Agencia Xinhua | Brasil
Qué hacen los “ratones astronautas” a bordo de la estación espacial china
| 11:52 | Xinhua | Agencia Xinhua | Jiuquan
Advierten que las momias de Guanajuato podrían desaparecer en poco tiempo: estas son las razones
| 10:24 | Alfredo Narváez | INAH Guanajuato
Estalagmita revela cómo la sequía cambió la historia de los mayas
| 03:26 | Kattia Espinosa | Uno TV
Fenómeno inusual: ¿por qué apareció una “nube agujero” en el cielo de Puebla?
| 15:37 | Oscar Gómez Cruz | Atlas Internacional de Nubes | Organización Meteorológica Mundial | Gobierno de Puebla.
Impactan auroras boreales en México: ¿por qué se iluminó el cielo, según la UNAM?
| 12:11 | Oscar Gómez Cruz | UNAM | NOAA | NASA | Sociedad Astronómica de Nuevo León
Fenómenos climáticos que pueden causar demoras en tus vuelos, según la ciencia
| 08:30 | Aldo Flores | FAA / NOAA / USGS
Eclipse solar más largo del siglo: ¿cuándo será y dónde verlo?
| 18:19 | Marco Antonio Jiménez Arreola | Timeanddate | theskylive | UnoTV
El “cometa de Halloween” iluminará el cielo mexicano durante el Día de Muertos: guía para verlo
| 10:15 | Aldo Flores | Star Walk / Space / UNAM
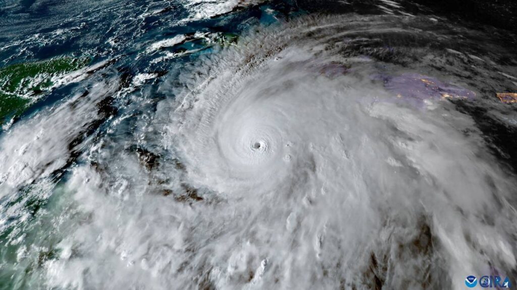
Impactantes imágenes satelitales de Melissa al tocar tierra en Cuba
| 11:17 | Alfredo Narváez | NOAA | Reuters | ESA
Cometa Lemmon 2025 se verá hasta dentro de mil años: fechas clave para ver este espectáculo astronómico
| 08:00 | Oscar Gómez Cruz | Star Walk/Agencias
Impresionantes imágenes desde el espacio del huracán Melissa; se dirige a Cuba
| 20:40 | Marco Antonio Jiménez Arreola | NOAA|SEN|UnoTV
Huracán Melissa se dirige a Cuba: sigue la trayectoria del “potente” fenómeno con el celular
| 17:53 | Marco Antonio Jiménez Arreola | NOAA | NHC | Zoom Earth | SMN | AFP | UnoTV
¿Cómo influye la gravedad de la Luna en las mareas de la Tierra?
| 16:19 | Oscar Gómez Cruz | NASA/Agencias
Campo magnético de la Tierra se debilita en zona del Atlántico Sur: ¿cuáles son los riesgos?
| 14:03 | Oscar Gómez Cruz | European Space Agency
Alertan por presencia de oruga peluche en Guadalajara; no hay antídoto para su veneno
| 18:49 | Marco Antonio Jiménez Arreola | UdeG | UnoTV | Jalisco
Dos cometas cruzan el cielo en octubre; ¿cómo puedes verlos?
| 17:36 | Oscar Gómez Cruz | Scientificamerican/Star Walk/Agencias


















































